Darán 380 mdp de ministros a trabajadores del Poder Judicial
Proponen que del presupuesto para alimentos de la Sala Superior de la Suprema Corte se reasigne al menos 70% para medicamentos, tras eliminación de fondos
Por El Universao
05 de Mayo 2026
Proponen que del presupuesto para alimentos de la Sala Superior de la Suprema Corte se reasigne al menos 70% para medicamentos, tras eliminación de fondos
Por El Universao
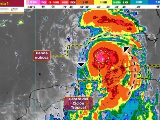
Detallan que se registraron 43 personas fallecidas en Acapulco y 5 en Coyuca de Benítez
Por El Universal
La Asociación Internacional de Gatos, con sede en Estados Unidos, contempla un estimado de 71 razas alrededor del mundo
Por EL UNIVERSAL
Evelyn Salgado, gobernadora de Guerrero, detalló que son 33 hombres y 10 mujeres
Por El Universal
En los reportes preliminares de la Unidad Municipal de Protección Civil de Fresnillo se indica que hay también cinco lesionados
Por EL UNIVERSAL
La propuesta especifica que los recursos provendrían de la Banca de Desarrollo y la Banca Comercial
Por EL UNIVERSAL
Son 29 hombres y 10 mujeres, de acuerdo con reporte oficial
Por El Universal
Transmedia Comunicaciones S.A. de C.V.
Bulevar Tomás Fernández #8587
Suite 201
Plaza Olivos, Edificio A
Col. Parque Industrial Antonio J. Bermúdez
Teléfono 656-682-72-92
C.P. 32470